罗春雄研究组在Communications Biology发表“细菌群体通过动态空间协作提升群落耐药性”文章
通过使用不同的合作策略,微生物群落可以在复杂多变的环境中生存。而且,种群之间的相互作用会受环境因素的影响而改变,因此给定的微生物群落在不同环境中会表现出不同的特征。另外,除了功能上的相互作用,微生物的空间分布也会影响其群落的稳定性。然而,以往的研究多集中在处于均一环境中的共生群落的单一相互作用,缺少对具有复杂相互作用的共生群落的群落空间分布的作用和动态变化的探究。2019年8月8日,北京大学定量生物学中心、物理学院罗春雄课题组在Nature系列的新子刊 Communications Biology发表题为“Spatial coordinate in a mutually beneficial bacterial community enhances its antibiotic resistance”的研究论文,发现共生细菌群落在应对环境中的抗生素压力时,采取了与人类行军打仗时相似的策略,它们不仅注重”兵种搭配“,将具有不同功能的细菌组合在一起促进彼此的生长,还考虑到了”排兵布阵“,会通过其空间分布进行合作,从而获得可超越简单功能合作的生长优势。
在具体的工作中,课题组构建了一种具有复杂相互作用的细菌共生体系和一套可进行环境控制及显微观测的微流体系。使用上述共生体系和微流系统,研究发现该共生群落的生长在应对环境抗生素时需要最小初始密度,这一现象与已报道的Allee效应一致。课题组测定了共生群落的时空生长特征,发现该共生群落表现出了应对不同环境的种群时空协作行为(图1)。

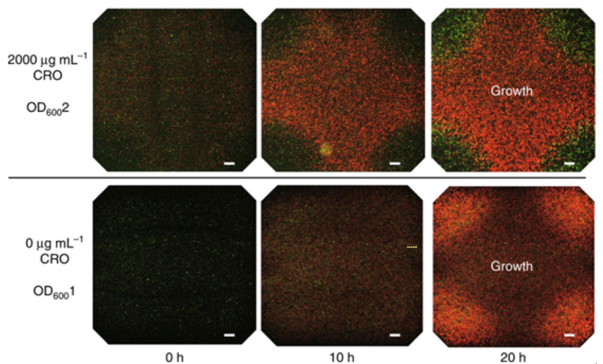
图1 共生群落(上)和寄生群落(下)空间分布的时序变化
另外,该工作根据实验构建了偏微分方程组,对细菌群落的时空变化过程进行了建模及模拟工作。模拟和实验结果都证实,细菌数量较多、抗性菌占比较多、细菌离抗生素来源较远且抗性菌更靠近抗生素来源等特征,都有利于提高群落的环境适应性。基于此,该工作绘制并分析了具有不同细菌数量、比例和分布的共生群落的短时间生长率热图及典型样本对应特征的时空轨迹。模拟与实验(图2)结果均发现,共生群落在生长前期所做的种群比例和分布的调整(”兵种与队形”调整),有利于提高其环境适应性。

图2 典型样本的细菌数量、比例和分布特征的时空轨迹
由于群落进行空间协作需要一定的”空间自由度”,课题组还探究了菌群所处空间大小对共生群落生长的影响。实验与模拟结果显示,在一定范围内,群落在较大的空间中生长具有较低的临界生长数量,即具有较高的耐药能力。而且,当培养区内的物质浓度设定为恒定均匀时,空间大小带来的临界数量差异会消失,说明物质在有限空间内的扩散是群落耐药能力的重要影响因素。
该论文中所取得的结果,不仅证实了利用合成微生物群落将理论模型与实验结合的可行性,还在构建具有复杂相互作用的微生物群落并准确控制其生长环境方面做出了尝试。另外,研究发现的共生群落的时空协作特征,很可能是存在于自然界共生菌群的新的适应机制。在抗生素压力下,细菌群落可以自发地调整其空间分布和细菌比例以增加其耐药性。该研究结果可为人工干预微生物群落的空间结构形成提供指导。
定量生物学中心14级博士研究生李玲君为该文的第一作者,罗春雄教授为本文的通讯作者,其他参与人还包括北京大学欧阳颀院士,北京基因所康禹副研究员,以及北京大学物理学院硕士生吴天,王颖,冉敏。该工作获得了国家自然科学基金、国家重点研发计划、人工微结构与介观物理国家重点实验室以及定量生物学中心的资助和支持。
工作原文连接:
https://www.nature.com/articles/s42003-019-0533-0